Manisa'nın Afet Bölgesi İlan Edilmesi İçin Başvuracaklar
Manisa Ziraat Odaları İl Koordinasyon Kurul Toplantısı, Kurul Başkanı Turgutlu Ziraat Odası Başkanı Abdullah Şenol başkanlığında yapıldı. Toplantıda bu sene başta üzüm ve zeytin olmak üzere yüzde 50-80 arasında tane kaybı anlamına gelen silkme yaşandığına dikkat çekilerek, Manisa’nın afet bölgesi ilan edilmesi için girişimlerde bulunulacağı açıklandı.

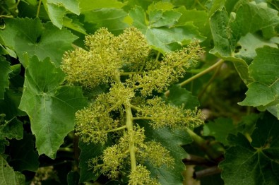
"Tane kayıpları yüzde 50-80 arasında"
Şehzadeler Ziraat Odası Başkanı Hüseyin Altındağ, Manisa’da 14 Mayıs’tan bu yana iklim şartlarından dolayı görülen, gün geçtikçe yoğunlaşan üzümlerde ve zeytinlerde yüzde 50 ile 80 arasında silkmelerin meydana geldiğini açıkladı.
Tane kaybı anlamına gelen bu silkmelerin sadece merkezde değil il genelinde yaşandığını kaydeden Altındağ, ancak bu durumun TARSİM kapsamında olmadığına dikkat çekerek, “Bu üzüm silkmeleri üzüm rekoltesini etkileyecektir. Çiftçilerimiz bir an önce hasar tespit dilekçeleriyle ilçe tarım müdürlüklerine mutlaka müracaat etsinler. İl Koordinasyon Kurulu olarak Manisa’nın afet bölgesine alınmasını ve bu afet bölgesinden faydalanılmasını isteyeceğiz” dedi.
Manisa genelinde yağışların etkili olduğunu belirten Altındağ, bazı bölgelerde meydana gelen doğu afeti nedeniyle tarım arazilerinin zarar gördüğünü söyledi.
"Ankara’ya müracaat edeceğiz"
Saruhanlı Ziraat Odası Başkanı Aydoğan Okur, önümüzdeki yıl üzüm silkmelerinin, üzüm yanıklarının, üzümlerinin sergi zamanının TARSİM sigortası kapsamına alınması için Ankara’ya müracaat edeceklerini vurgulayarak, “İnşallah hayırlı bir karar çıkar. Önümüzdeki yıl bu afetlerin TARSİM sigortası kapsamına alınmasını istiyoruz. Sadece üzüm değil bütün ürünlerde uygulanmasını isteyeceğiz” dedi.
"Üreticimiz mağdur"
Demirci Ziraat Odası Başkanı Mehmet Karakaya ise “Kirazlarımız geçen yıla göre aynı değil. Kirazlarımızda çok döllenme sıkıntısı var. Bunun nedeni iklimsel olaylar. Tütün üreticimiz, kiraz üreticimiz, badem üreticimiz bu sene mağdur oldu. Artık çiftçinin borçlarında mı ertelenme olur, sigortalarda mı fedakarlık yapar devlet, bankalarla ilgili sıkıntılarımız var” diye konuştu.
"Elektrik ödemeleri hasat zamanında olsun"
Kırkağaç Ziraat Odası Başkanı Emin Özarı da şunları söyledi:
“Her şeyden önce bizim elektrik giderlerimiz mazot ve gübreden sonra en önemli gider kalemidir. Elektrik giderleri önceden hasatta yapılıyordu. Fakat son zamanlarda bu hasatta değil de aylık olarak yapılmaya başlandı. Elektrik giderlerinin hasat döneminde ödenmesini istiyoruz.”
