Dünya bu görüntüyü konuşuyor
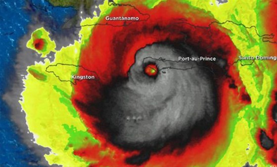
ABD'ye doğru hızla ilerleyen ölümcül kasırganın Salı günü Haiti üzerindeyken çekilen uydu görüntüsünün, kafatası şeklinde olduğu görüldü.

KAFATASI ŞEKLİNDE KURUKAFA
CNN'in haberine göre, ABD'ye doğru hızla ilerleyen ölümcül kasırganın Salı günü Haiti üzerindeyken çekilen uydu görüntüsünün, kafatası şeklinde olduğu görüldü.
Birçok uluslararası yayın organında manşetlere taşınan bu görüntü, sosyal medyada da büyük yankı uyandırdı. Görüntü, kasırga Haiti üzerinden geçerken çekildi.

